Previous | Next 
: - Matelea variifolia (Schlechter) Woodson
Kennen Sie schon die Bücher?
Es ist Lesezeit!
Synonyme :
Gonolobus variifolius Schltr.
Matelea borinquensis Alain
Vincetoxicum variifolius (Schltr.) Britton
Review It
Rate It
Bookmark It
Abmessungen:
Frucht Größe:
Samen Größe:
Wuchsform

Gehölze, Bäume excl. Halbsträucher

Krautige Pflanzen, Halbsträucher

Kletterpflanzen, Lianen

Milchsaft vorhanden
Blütezeit
Pflanze Jährigkeit
Haare

Haare drüsig, warzig
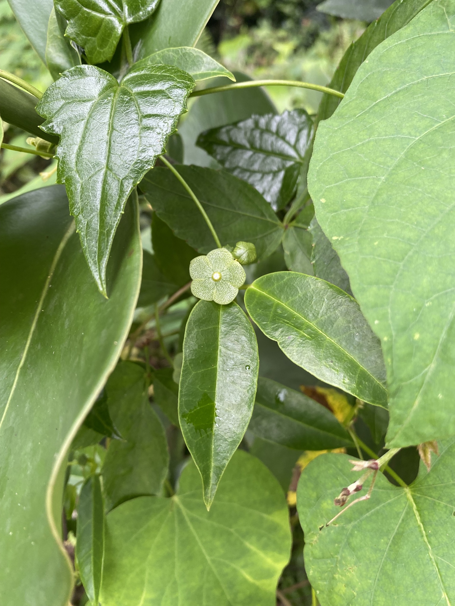
Blätter

Blätter gegenständig oder wirtelig (quirlig)

Blätter schildförmig

Blätter einfach, ungeteilt

Geadert, gefiedert oder kaum sichtbar in Blätter oder Teile geteilt

Blattränder ohne Lappen, Zähne, Teile

Nebenblätter fehlen
Blütenstand

Blütenstand eine Rispe, einfach und monopodial

Blütenstand eine Dolde, einfach und monopodial

Blütenstand einfach und sympodial (Zyme, Wickel, Verzweigt)

Blütenstand verbunden, sympodial oder monopodial (Rispe, Thyrsos etc.)
Blüten

bisexuell

actinomorph bzw. Sternförmig, Radialsymetrisch, Radförmig usw.

Blütenboden klein, (oberständiger Fruchtknoten)

Keine Staubgefässe

Blütenhülle (Perianth) Segmente:> 6

Blütenhülle von Kelch und Krone

Kelchblätter 5

Kelchblätter untereinander frei

Kelchblätter verwachsen (mindestens 2)

Kelchblätter schuppig oder verzerrt

Kelchblätter röhrig oder zusammengelegt

Blütenblätter 5

Blütenblätter verwachsen (mindestens 2)

Blütenblätter verzerrten

Blütenblätter hüllig oder becherig

Corona vorhanden oder im Grunde Schuppig

Staubbeutel 5, fruchtbar

Staubbeutel an der Basis fixiert

Staubbeutel nach Innen gerichtet

Staubbeutel länsschlitzig öffnend

Staubblätter in die Krone eingefügt

Staubfäden verwachsen - EIn Rohr oder ein Bündel

Staubblätter mit auffälligem Anhängsel

Pollen kohärent oder wachsartig

Mehr als 1 Stiel, frei (Fruchtblätter verwachsen)

Stiel 1, oder: Stiele mehr oder weniger verwachsen (Fruchtblätter frei oder verwachsen)

Fruchtblätter 2 (frei oder vereinigt)

Fruchknoten 1-kammerig

Fruchknoten 2-kammerig

Mehr als 2 Samen pro Fruchtkammer

Fruchtblätter frei von einander oder 1 Fruchtblatt

Samenanlagen zentral, Fruchtblätter verwachsen

Samenanlagen mittig befestigt, oder bauchseits, wenn Fruchtblätter frei oder 1 Fruchtblatt
Früchte

Frucht ist eine Kapsel (inkl. Hülse, Schote, Balgen)

Frucht hat mehr als 2 Samen

Frucht mit Flügeln

Frucht mit Stacheln und Haken

Samen mit Haaren

Keim gerade

Samen mit Nährgewebe
Verbreitung

Afrika

Asien

Australien und Ozeanien

Europa

Nordamerika

Südamerika