Previous | Next 
: - Prunus integrifolia (C.Presl) Walp.
Kennen Sie schon die Bücher?
Es ist Lesezeit!
Synonyme :
Cerasus integrifolia C.Presl
Laurocerasus integrifolia (C.Presl) C.K.Schneid.
Prunus cornuta var. integrifolia T.T.Yu
Prunus ilicifolia var. integrifolia Sudw.
Prunus integrifolia (Sudw.) Sarg.
Prunus recurviflora Koehne
Prunus villegasiana Pilg.
Review It
Rate It
Bookmark It
Abmessungen:
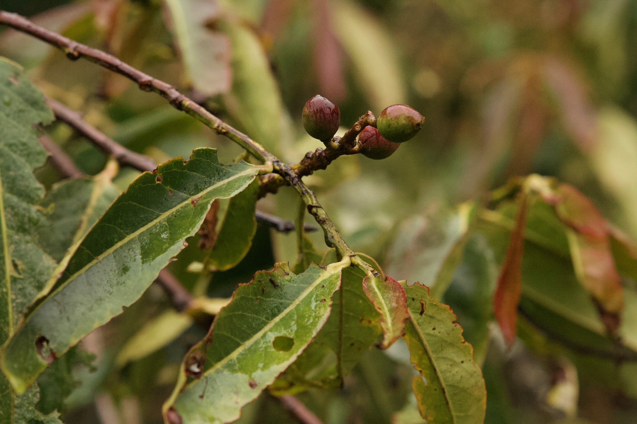
Frucht Größe:
Samen Größe:
Wuchsform

Gehölze, Bäume excl. Halbsträucher

Krautige Pflanzen, Halbsträucher

Kletterpflanzen, Lianen

Stacheln an Stamm oder Blatt
Blütezeit
Pflanze Jährigkeit
Haare

Haare drüsig, warzig

Haare Sternzellig, auch 2-armig, verzweigt oder federig

Haare Sternzellig (nicht 2-armig, verzweigt oder federig)

Haare federig, aber nicht drüsig

Haare schildförmig oder schuppig
Blätter

Blätter gegenständig oder wirtelig (quirlig)

Blätter wechselständig (exkl. Zweizeilig bei Einkeimblättriten)

Blätter schildförmig

Blätter einfach, ungeteilt

Blätter mehrteilig, verzweigt, kompliziert

Blätter gefiedert (4 oder mehr Blätter)

Blätter 3-teilig

Blätter handförmig (4 oder mehr Teile)

Geadert, gefiedert oder kaum sichtbar in Blätter oder Teile geteilt

Aderung handförmig in Blätter oder Blatteile

Blattränder ohne Lappen, Zähne, Teile

Blätter oder Blatteile gelappt oder geteilt

Bltter oder Blatteile gezahnt, gesägt, gekerbt, usw.

Epidermid des Blattes papillös (nur Zweikeimblättrige)

Nebenblätter fehlen

Nebenblätter vorhanden (auch, wenn nur noch Narben zu sehen sind)
Blütenstand

Blüte einzeln

Blütenstand eine Rispe, einfach und monopodial

Blütenstand eine Spitze, einfach und monopodial

Blutenstand eine Doldentraube, einfach und monopodial

Blütenstand eine Dolde, einfach und monopodial

Blütenstand ein Büschel, einfach und monopodial

Blütenstand ein Kopf, einfach und monopodial

Blütenstand verbunden, sympodial oder monopodial (Rispe, Thyrsos etc.)
Blüten

bisexuell

unisexual

actinomorph bzw. Sternförmig, Radialsymetrisch, Radförmig usw.

zygomorph, dorsiventral oder monosymmetrisch oder unregelmässig

Blütenboden vergrössert, vereint mit Fruchtknoten, diesen ganz oder teilweise bedeckend

Blütenboden vergrössert, ganz oder teilweise frei vom Fruchtknoten

Blütenboden vergrössert, konisch oder kalbkugelförmig (oberständiger Fruchtknoten)

Staubgefässe vorhanden (Ringförmig oder Drüsen)

Keine Staubgefässe

Blütenhülle (Perianth) Segmente: 3

Blütenhülle (Perianth) Segmente: 4

Blütenhülle (Perianth) Segmente: 5

Blütenhülle (Perianth) Segmente: 6

Blütenhülle (Perianth) Segmente:> 6

Blütenhülle besteht aus ähnlichen Segmenten

Blütenhülle von Kelch und Krone

Kelchblätter 3

Kelchblätter 4

Kelchblätter 5

Kelchblätter mehr als 5

Kelchblätter untereinander frei

Kelchblätter schuppig oder verzerrt

Blütenblätter 0 (inkl. Einem becherartigen Blütenkrone ohne Blätter)

Blütenblätter 3

Blütenblätter 4

Blütenblätter 5

Blütenblätter 6

Blütenblätter 7

Blütenblätter 8

Blütenblätter 9

Blütenblätter 10

Blütenblätter mehr als 10

Blütenblätter alle frei voneinander

Blütenblätter schuppig

Blütenblätter verzerrten

Staubbeutel 1, fruchtbar

Staubbeutel 2, fruchtbar

Staubbeutel 4, fruchtbar

Staubbeutel 5, fruchtbar

Staubbeutel 8, fruchtbar

Staubbeutel 10, fruchtbar

Staubbeutel mehr als 10, fruchtbar

Staubbeutel dorsal oder herzförmig fixiert

Staubbeutel an der Basis fixiert

Staubbeutel nach Innen gerichtet

Staubbeutel nach Aussen gerichtet

Staubbeutel länsschlitzig öffnend

Staubbeutel durch die Spitze öffnend

Staubblätter frei von Krone

Staubfäden nicht verwachsen

Staubfäden verwachsen - EIn Rohr oder ein Bündel

Sterile Staubblätter vorhanden (nur bei männlichen oder pferfekten Blüten)

Mehr als 1 Stiel, frei (Fruchtblätter verwachsen)

Stiel 1, oder: Stiele mehr oder weniger verwachsen (Fruchtblätter frei oder verwachsen)

Stempel gynobase entspringend

Fruchtblatt 1

Fruchtblätter 2 (frei oder vereinigt)

Fruchtblätter 3 (frei oder vereinigt)

Fruchtblätter 4 (frei oder vereinigt)

Fruchtblätter 5 (frei oder vereinigt)

Fruchtblätter mehr als 5 (frei oder vereinigt)

Fruchknoten 1-kammerig

Fruchknoten 2-kammerig

Fruchknoten 3-kammerig

Fruchknoten 4-kammerig

Fruchknoten 5-kammerig

1 Samen pro Fruchtkammer

2 Samen pro Fruchtkammer

Mehr als 2 Samen pro Fruchtkammer

Fruchtblätter frei von einander oder 1 Fruchtblatt

Samenanlagen zentral, Fruchtblätter verwachsen

Samenanlagen mittig befestigt, oder bauchseits, wenn Fruchtblätter frei oder 1 Fruchtblatt

Samenanlagen an der Spitze des Fruchtknotens befestigt

Samenanlagen an der Basis des Fruchtknotens befestigt
Früchte

Frucht ist eine Kapsel (inkl. Hülse, Schote, Balgen)

Frucht ist eine Nuss (inkl. Schließfrucht, Spaltfrucht usw.)

Frucht ist fleischig (Beeren, Steinfrüchte, Kernobst)

Frucht hat 1 Samen

Frucht hat 2 Samen

Frucht hat mehr als 2 Samen

Frucht mit Flügeln

Frucht mit Haaren zur Windverbreitung

Frucht mit rückgebogenen Stacheln, hakenförmige oder widerhakenförmige Haare

Frucht mit Stacheln und Haken

Samen mit Flügeln

Keim gerade

Samen ohne Nährgewebe

Samen mit Nährgewebe
Verbreitung

Afrika

Asien

Australien und Ozeanien

Europa

Nordamerika

Südamerika